$1,337,000
320 Acres
Grain
Medora, Manitoba
| Property Id #: | 20946 |
|---|---|
| Price: | $1,337,000 |
| Farm Type: | Grain |
| Acreage (Total): | 320 |
| Municipality / County: | Brenda-Waskada |
| Province: | Manitoba |
| Postal Code: | R0M 1K0 |
NOTE: Also available for purchase is an adjoinng 320 acres of mostly crop land, located directly to the south, being the East Half of 10-3-25W. Offers can be submitted individually for the 2 parcels, or combined in a single offer, with all Offers to be submitted by November 28th, 2025, for consideration.
| Land Remarks: | A self contained & slightly undulating parcel of Land comprising of 320 Acres of Clay Loam Soil, with a few low spots that do retain moisture. The expanse of open land on this half section provides the capacity to produce a wide variety of arable crops. |
|---|---|
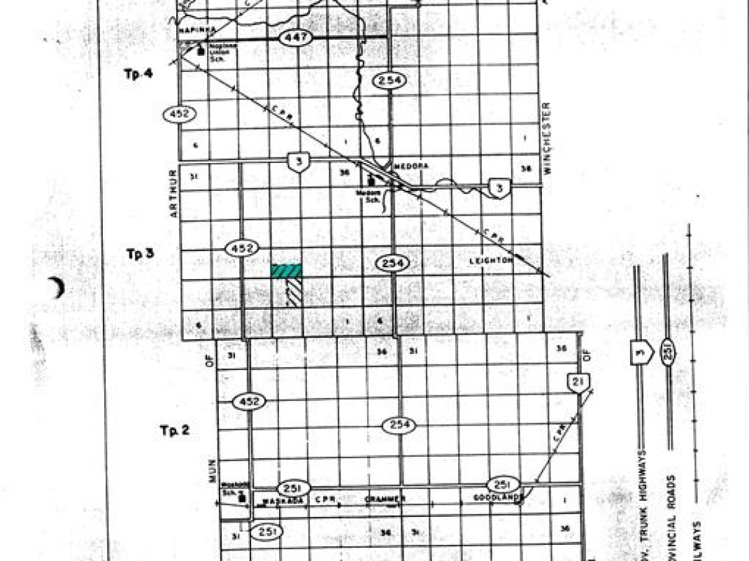
| Directions: | From Medora, go 2 miles west and over the tracks on hwy #3 to Hilltop Road, turn south and travel 3 miles to mr15N, then go 1 mile west to mr146W, turn south and travel for a 1/2 mile to the land located on the west side. |
| Property Legal Description: | The South Half of 15-3-25W. |
| Acreage (Total): | 320 |
| Soil Type: | Waskada (Undulating Phase) Heavy Loam to Clay Loam. |
| Crop Insurance Yield Rate: | "E" |
| Heat Units: | 2300 to 2400 |
| Grain or Crop Storage: | There are 5 older steel Bins sited on the south boundary. |
|---|
| Oil Remarks: | All Mines and Minerals are Excluded, as set forth in Mb. Title no 1602882/2. |
|---|---|
| Property Taxes: | $1,595.73 (2025) |
| How to View: | At any reasonable time. |
|---|
The content of the Site is provided on an “as is” basis. Farm Marketer makes no warranty, expressed or implied, nor assumes any legal liability (to the extent permitted by law) or responsibility for the suitability, reliability, timeliness, accuracy or completeness of the content or any part thereof contained on the Site. Farm Marketer expressly disclaims all warranties. In no event will Farm Marketer, its affiliates or other suppliers be liable for direct, special, incidental, or consequential damages (including, without limitation, damages for loss of business profits, business interruption, loss of business information or other pecuniary loss) arising directly or indirectly from the use of (or failure to use) or reliance on the content or on the Site. Please see website terms and conditions for more information.
Maurice Torr
Partner and Farm Sales Specialist
Office: (204) 725-0555
Cell: (204) 729-6644
Fax: (204) 727-0377
Century 21 Westman Realty Ltd.
2915 Victoria Avenue
Brandon, MB. R7B 2N6
Gary Nestibo
Office: (204) 725-0555
Cell: (204) 522-5638
Fax: (204) 727-0377
Century 21 Westman Realty Ltd.
2915 Victoria Ave
Brandon, MB. R7B 2N6
Sign up to stay connected
- News
- Property Alerts
- Save your favourite properties
- And more!
Joining Farm Marketer is free, easy and you can opt out at any time.