$0
Cash crop
North Battleford, Saskatchewan


































Property Id #: | 20692 |
---|---|
Farm Type: | Cash crop |
Municipality / County: | North Battleford |
Province: | Saskatchewan |
Postal Code: | S9A 0A1 |
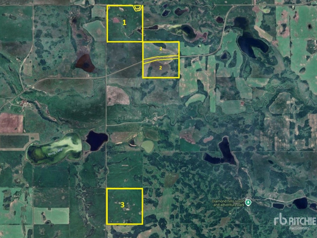
Property Legal Description: | SE 12-46-15-W3 PID 128851285, 129116640 |
---|
How to View: | Contact Listing Agent: Ritchie Bros. Real Estate Services Ltd 1-866-490-3081 |
---|
The content of the Site is provided on an “as is” basis. Farm Marketer makes no warranty, expressed or implied, nor assumes any legal liability (to the extent permitted by law) or responsibility for the suitability, reliability, timeliness, accuracy or completeness of the content or any part thereof contained on the Site. Farm Marketer expressly disclaims all warranties. In no event will Farm Marketer, its affiliates or other suppliers be liable for direct, special, incidental, or consequential damages (including, without limitation, damages for loss of business profits, business interruption, loss of business information or other pecuniary loss) arising directly or indirectly from the use of (or failure to use) or reliance on the content or on the Site. Please see website terms and conditions for more information.

Ritchie Bros. Real Estate Services Ltd.
Office: (866) 490-3081

Ritchie Bros.
Box 260 RR#4 Site 412
Saskatoon, SK. S7K 3J7
Sign up to stay connected
- News
- Property Alerts
- Save your favourite properties
- And more!
Joining Farm Marketer is free, easy and you can opt out at any time.